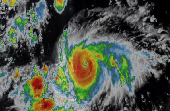
ذكر مكتب الأرصاد الجوية أن العاصفة “ساولا” بشمال شرق الفلبين، تطورت إلى إعصار، وربما تزداد شدتها لتتحول إلى إعصار قوي، بحلول بعد غد الاثنين. وطبقا لتقرير استشاري صادر عن المكتب في الساعة الحادية عشرة صباح اليوم السبت، فإن نظام الطقس، المعروف محليا باسم “جورينج”، زادت شدته ليتحول إلى إعصار، الليلة الماضية “في أعقاب كثافة سريعة” ومن المتوقع أن يجلب أمطارا غزيرة و”رياحا قوية”، حسب وكالة “بلومبرج” للأنباء اليوم. ويقع شرق جزر “بابويان” شمال-شمال شرق جزيرة “لوزون” الرئيسية.
وأضاف المكتب أن العاصفة “ساولا” من المتوقع أن تخرج من مسار حلقي وتتحرك باتجاه الشمال الغربي نحو البحر شرق تايوان. وتقع عين العاصفة على بعد حوالي 155 كيلومترا(96 ميلا)، شرق-شمال شرق أباري في كاجايان، مصحوبة برياح، سرعتها القصوى 150 كيلومترا في الساعة، بالقرب من المركز وزوابع تصل سرعتها إلى 185 كيلومترا في الساعة.

